На дне Атлантического океана нашли углубления, похожие на рукотворные

При изучении разлома Чарли-Гиббса и Срединно-Атлантического хребта и Азорского плато ученые из Национального управления океанических и атмосферных исследований обнаружили на дне следы непонятного происхождения.
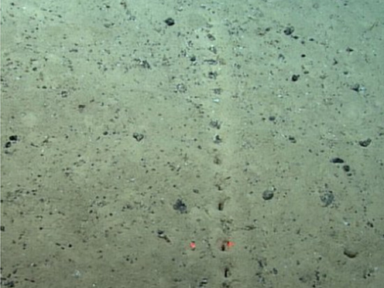
Как сообщило издание Daily Wire, снимки были сделаны подводным роботом 23 июля на глубине около четырех километров во время наблюдения за подводным вулканом недалеко от Азорских островов. Его большая часть находится ниже уровня моря, поэтому в значительной степени не изучена. Место является частым источником землетрясений.
В поле зрения ученых попал ряд небольших, как-будто выкопанных кем-то отверстий в почве, расположенных на почти идеально ровной линии. Ученые не смогли объяснить их происхождение и предложили подписчикам в соцсетях высказать свои предположения. Комментаторы выдвинули несколько гипотез. Это могло быть сильное и причудливое течение, их могли оставить животные или неизвестные предшественники исследователей.
Ученым еще предстоит объяснить эти отверстия и их интригующий порядок. Деятельность человека маловероятна, так как окружающая территория кажется нетронутой, и национальное управление стало одной из немногих исследовательских групп, имеющих доступ к самым глубоким участкам морского дна Атлантического океана.
«Есть большие неизведанные районы океана, и мы не знаем о них огромное количество вещей. На самом деле мы знаем о Луне больше, чем о морском дне», — сказал Стейнар Эллефмо, доцент кафедры геологии и разработки полезных ископаемых Норвежского университета науки и технологии (NTNU).
Comments are closed.